Venta
U$S 579.000
Código: PUE1785 | SOM 11785

Lamarca al 3300 (Entre Avda. Beiro y Ricardo Gutierrez), Villa Devoto, Capital Federal, Ciudad de Buenos Aires, Argentina

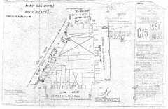
Villa Devoto Emilio Lamarca Nro. 3360 (entre Avda. Beiró y Ricardo Gutierrez) REGIO LOTE CÓDIGO URBANÍSTICO U.S.A.M. SUPERFICIE: 230 m2 (aprox) - APTO 1.500 M2 aprox. Regio Lote en venta en Villa Devoto, en el límite con Villa del Parque, entorno residencial. Orientación Este. Buena ubicación a 50 mts. de Avda. Beiró con varios de transporte (seis líneas de colectivo) DETALLES: . Medidas del lote: frente 8,60 mts., lateral izquierdo 31,10 mts., lateral derecho 31,60 mts., contrafrente 6,35 mts. . Superficie total: 230 m2 aprox. . Código Urbanístico U.S.A.M. . Hoy lote baldío. . AySA $ 12.735.- (mensual) . ABL: $ 34.100.- (mensual)

Oferta provista por el sistema SOM a Top Inmobiliario - Código PUE 1785

Terrenos

MEDIDAS

230 mts2 de Superficie
1500 mts2 de Superficie edificable s/cota
8,6 mts de Frente
31,6 mts de Largo